
The development of a retail center on the 25 acres parcel is a key part of the revitalization efforts in the Mountain View neighborhood. ACDA worked with a private developer to integrate local and new businesses, provide new employment opportunities, enhance property values, improve the aesthetics of the area and create positive, sustainable economic growth.

ACDA completed the Northpointe Bluff Subdivision and sold most of the lots, creating a vibrant new community on government Hill. There are 9 lots remaining to be sold.
For more information about available lots please call: 907.344.5678
Notice: Both Northpoint Bluff Drive and Northbluff Drive (just northeast of Northpointe Dr.) are part of this project. Northbluff Drive is pictured above.

In an effort to increase the parking opportunities in the 600-space garage, ACDA proceeded with improvements to the garage which included an interior/exterior paint job, replacing and improving the interior lighting, security addition, upgrading mechanical systems in the elevators, installing new ticket booth equipment, resurfacing the exit spiral, repairing the main staircase, and upgrading the plaza around the garage. This has been one of many more creative development opportunities to enhance the quality of life for residents in Anchorage.
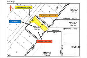
THIS PROPERTY HAS BEEN SOLD.
This property is located at the gateway to the Glenn Square shopping center in northeast Anchorage. The traffic arteries that surround this plot see between 63,000 and 78,000 vehicles per day combined. With its position as a corner lot and exposure to a significant amount of traffic, this lot offers developers great value.
The Glenn Square shopping center features multiple restaurants, Bed Bath and Beyond, Petco, Bass Pro Shops and more. Immediately south of this lot is a strip mall with a Subway restaurant, a brewery, Coast Guard recruiters and more. There are a few used car lots across Mountain View Drive, and new, medium density housing units just north of this site on Mountain View Drive (not yet depicted in the map above).
Size:
The usable portion of this lot measures approximately 25,300 square feet (.58 acres) on the southerly portion of the site.